
Zlom nastopi, kadar stopnja stresa na kost preseže njeno obremenitveno kapaciteto. Tip zloma je odvisen od številnih dejavnikov, hitrosti in smeri udarca, položaja kosti v trenutku poškodbe, starosti mačke in seveda tudi oblike, strukture ter velikosti poškodovane kosti. Med redkejše vzroke zloma pa sodijo tumorji, ciste in druge patološke spremembe, ki zmanjšujejo kostno obremenitveno kapaciteto (odpornost na obremenitev).
(Ne)stabilnost zloma je odvisna od oblike in obsežnosti zloma, vlečnih ali kontrakcijskih sil prilegajočih mišic in vezi.
Na podlagi znanih dejstev, najnovejše strokovne prakse in okoliščin, v katerih je nastal zlom, se odločimo za vrsto in primernost različnih oblik terapije. Izbiramo oziroma odločamo se med konzervativnim ter operativnim zdravljenjem, slednji z notranjo/interno ali zunanjo/eksterno fiksacijo. Ni vsak zlom primeren za opornico, res pa je tudi, da vsak zlom ne potrebuje kirurške terapije, posebno takrat, ko imamo opravka s poki, nalomi kosti ali s stabilnimi zlomi kosti, kot je na primer enostaven prečni zlom kosti na okončini nižje od komolčnega ali kolenskega sklepa pri mladih ali kooperativnih živalih.
Zlom potrdimo z rentgenskim slikanjem. Pred tem pa smo že doma pozorni, da se z mačkino okončino nekaj dogaja. Lastniki po navadi opazijo izrazito šepanje z razbremenjevanjem noge ali pa drobno, rahlo stopicljanje po prizadeti nogi. Mačka kaže jasne bolečine, oteklino na prizadeti nogi, nenavadno postavljanje ali vlečenje nogice za sabo. Doma lahko opazimo pospešeno dihanje, agresijo, prestrašenost, zatekanje v kote, asocialno vedenje, slabo ješčnost, skratka splošno prizadetost. (((ZANAROCNIKE)))
Preden se posvetimo izključno zlomu, vedno ocenimo splošno stanje mačke. Mačko (ali drugo žival), ki pride na Kliniko Loka z zgodovino poškodbe, najprej temeljito pregledamo ter nudimo prvo pomoč s stabilizacijo. Večkrat se namreč za povsem očitnim zlomom skriva kakšna resnejša in življenjsko ogrožujoča poškodba, ki pa bi jo brez natančnega kliničnega pregleda hitro spregledali.
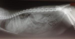
Najpogostejše poškodbe, ki spremljajo zlome pri mačkah, so raztrganine trebušne prepone, vezivno mišične opne, ki razmejujejo prsno in trebušno votlino, pretresi možganov, zlomi lobanjskih kosti, čeljusti, hrbtenice, poškodbe perifernih živcev, krvavitve v telesne votline ali poškodbe notranjih organov (podplutbe v področju ledvic, raztrganine sečnega mehurja ali sečnice, poškodbe pljuč, jeter, prebavil, trebušne slinavke …) (Slika 1).
Ko smo mačko stabilizirali, umirili in razbremenili bolečine s protibolečinskimi sredstvi in z začasno imobilizacijo, se z lastniki pogovorimo o možnih potekih nadljnjega zdravljenja.
Delitev zlomov na dolgih kosteh:
– diagonalni ali poševni zlom;
– transverzalni ali prečni zlom;
– multifragmentarni – kominutivni zlomi pri visokoenergetskih poškodbah, kjer se kost razleti na več kot dva dela (Slika 2);
– spiralni ali vijačni zlom;
– segmentalni zlom, pri katerem se zlomi del kosti, ki ne komunicira ne z zgornjim, ne s spodnjim delom dolge kosti;
– epifizni zlom v področju rastne linije kosti pri mladih rastočih mačkah;
– nepopoln zlom ali »zlom zelene vejice« sta pri otrocih odkrila dva humana ortopeda Insall in Slupecki. Pojavlja se izključno pri mladih, rastočih mačkah. Debela kostna ovojnica ostane cela, zlomi ali nalomi se mehka koščica. Takšen zlom se zelo hitro celi in navadno ne potrebuje posebne dodatne oskrbe, razen obveze z opornico.
Sklepne zlome delimo po klasifikaciji Salter-Harris v pet stopenj, ki jih označujemo z rimskimi številkami od I do V (Sliki 3 in 3a).
Zlome, ki komunicirajo z zunanjim okoljem, imenujemo odprti zlomi ter jih obravnavamo s posebno previdnostjo in skrbjo.
Na Kliniki Loka v Škofji Loki terapiramo zlome tako konzervativno kot tudi kirurško. Prav tako skrbimo za žival od prihoda na kliniko do odpusta domov. Mačko hospitaliziramo, s tehnološko dovršeno opremo in vedno nadgrajujočim znanjem pa poskrbimo, da je oskrba kar najboljša. Težavnih ali obsežnih poškodb ni zaupati samo osnovnemu znanju, opremi, predvsem pa nespecialni oskrbi, saj te večkrat botrujejo k nastanku dodatnih stroškov, težav, ne nazadnje pa slabšemu poteku in izteku nečesa, kar bi lahko bila zgodba o neuspehu.

Največkrat svetujemo stabilizacijo s kirurškimi tehnikami (eksterni fiksacijski sistem, intramedularne in Kirschnerjeve igle, mini ploščice in vijaki), včasih pa je ta neizbežna. Največ uporabljamo tako imenovani eksterni fiksacijski sistem, ki omogoča kakovostno, čvrsto stabilizacijo, hitrejše zdravljenje in seveda tudi dobro prognozo (Slika 4). Za takšne posege so potrebni, kot že rečeno, dodatna usposobljenost, oprema in dobro usposobljen kader, ki se redno izobražuje.
Vsota vsega naštetega omogoči pravilno zdravljenje, čim prejšnjo uporabo in povrnitev funkcije okončine po še tako zapletenih in na videz nemogočih zlomih. Verjamemo, da je živalim treba pomagati, in če smo tega sposobni, je prav, da takšno pomoč tudi izvajamo.
Marko Novak, dr.vet.med.
Objavljeno v šesti številki revije Mucek






